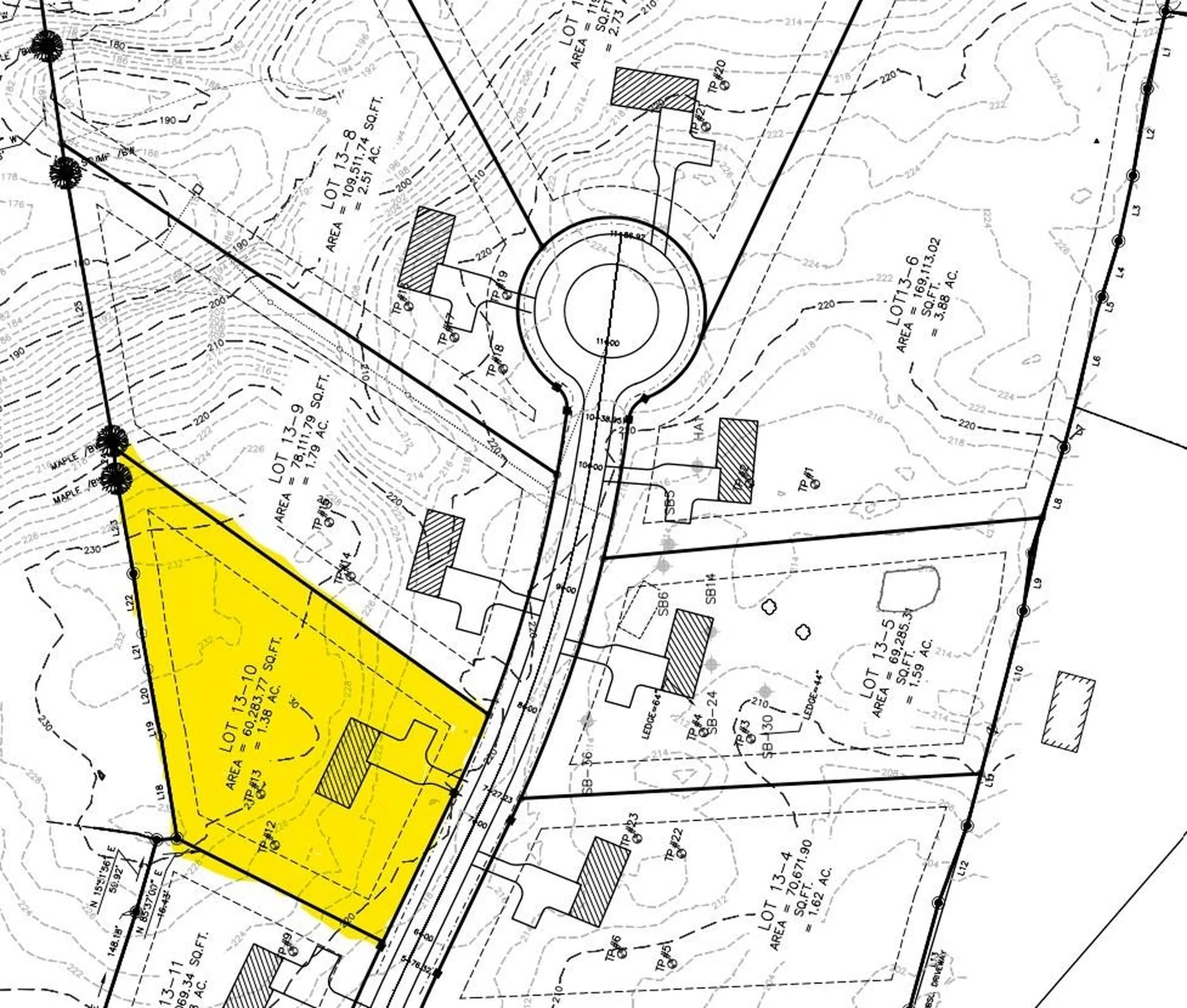
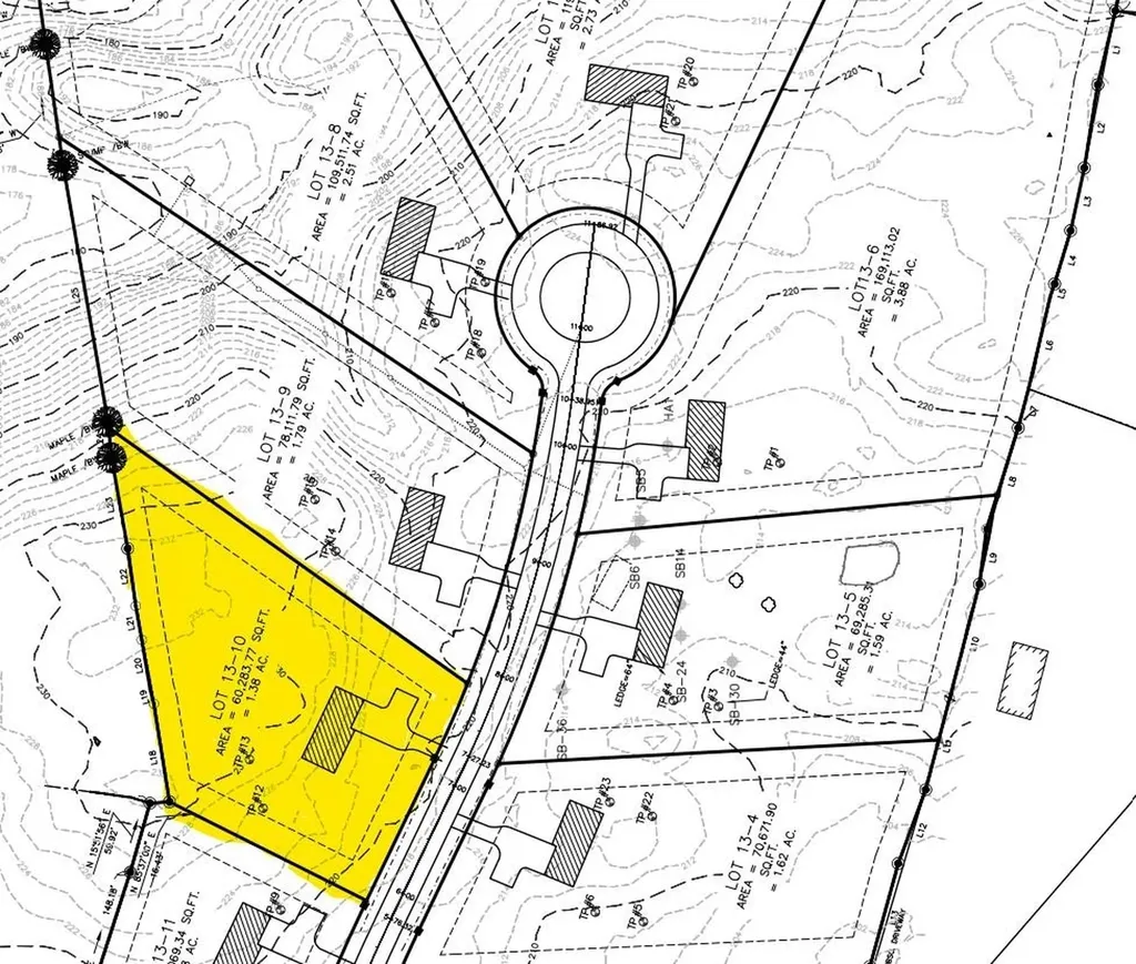
Welcome to Pear Tree Lane, Epping's newest and most desirable subdivision. Tucked away on a quiet newly built cul de sac, this exclusive ten lot community offers a rare opportunity to own oversized parcels ranging from 1.3 to 3.8 acres, a true find in southern New Hampshire. Each lot combines the privacy of country living with the convenience of a central location just minutes from Route 125, Route 101, shopping, and local dining. The road and cul de sac are fully completed, underground utilities already going in on site, and state approved four bedroom septic designs are in hand, ready for your builder or ours (Builder tie is preferred). Bring your vision to life surrounded by mature trees, rolling landscapes, and the peaceful charm of Epping's natural beauty. Whether you're planning your forever home, a multi generational retreat, or an investment build, these large estate style lots give you room to breathe and grow. Pear Tree Lane strikes the perfect balance between tranquility and accessibility, just 20 minutes to the Seacoast, 25 minutes to Manchester, and under an hour to Boston. The first two lots are now available with the buyer's choice of parcel, so secure your favorite while selections remain. Don't miss this exceptional opportunity to be part of Epping's newest neighborhood, where quality, space, and setting come together to create the perfect place to call home. Please do not walk without scheduling /permission. No HOA! Lot 9 is on the market as well!

Listing Tools

Property Details of Pear Tree Lane

Property Details

Utilities and Appliances

Community

Map Location

Broker Reciprocity 

Copyright 2026 PrimeMLS, Inc. All rights reserved. This information is deemed reliable, but not guaranteed. The data relating to real estate displayed on this display comes in part from the IDX Program of PrimeMLS. The information being provided is for consumers’ personal, non-commercial use and may not be used for any purpose other than to identify prospective properties consumers may be interested in purchasing. Data last updated February 15, 2026 7:07 AM EST

 

Hi there! How can we help you?

Contact us using the form below or give us a call.

Send Us A Message:

I agree to receive marketing and customer service calls and text messages from Maus Realty Group, LLC. To opt out, you can reply 'stop' at any time or click the unsubscribe link in the emails. Consent is not a condition of purchase. Msg/data rates may apply. Msg frequency varies. Privacy Policy.

Do not fill in this field:

This site is protected by reCAPTCHA and the Google Privacy Policy and Terms of Service apply.

Hi there! How can we help you?

Contact us using the form below or give us a call.

Send Us A Message:

Do not fill in this field:

This site is protected by reCAPTCHA and the Google Privacy Policy and Terms of Service apply.

Hi there! How can we help you?

Contact us using the form below or give us a call.

Send Us A Message:

Do not fill in this field:

This site is protected by reCAPTCHA and the Google Privacy Policy and Terms of Service apply.

Do not fill in this field:

This site is protected by reCAPTCHA and the Google Privacy Policy and Terms of Service apply.

Do not fill in this field:

This site is protected by reCAPTCHA and the Google Privacy Policy and Terms of Service apply.

Do not fill in this field:

This site is protected by reCAPTCHA and the Google Privacy Policy and Terms of Service apply.

$

Do not fill in this field:

This site is protected by reCAPTCHA and the Google Privacy Policy and Terms of Service apply.